标签:
小满节气野菜清热去火 |
分类: 大海微澜的小厨房 |
小满节气,这3种野菜夏天记得常吃,清热去火又开胃
今日小满,夏季的第2个节气,预示着炎热的夏季开始了。北方这几天温度老高了,最高温度达到30度,好多人都是夏日着装,穿短衣短裤了,尽管如此,北方早晚还是挺凉爽的,需要搭件外衣。顺应节气,小满食俗吃苦菜,苦味食物能清热去火,淡淡的苦味还能增进食欲,有健胃消食的作用。北方这个季节3种野菜一个夏天都能吃,记得夏季常给家人吃点野菜,清热去火又开胃,常食有利于夏季养生保健。
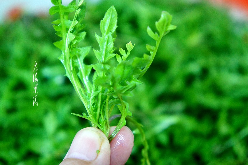
第一种野菜:荠荠菜
荠荠菜是北方最早上市的野菜,4月份就能吃到,到了夏天蔬菜品种丰富,往往忽略了它的存在,其实一个夏天都能挖到这种野菜,营养价值非常高,富含蛋白质、脂肪、膳食纤维、碳水化合物及多种微量元素,所含的氨基酸达11种之多,为野菜中味道最鲜美者。荠菜所含的蛋白质、钙、维生素C尤其多,特别是钙的含量超过豆腐,补钙佳品。具有凉血止血,清热利尿,健脾利水,降压明目的作用。
顺应节气,今日早餐,荠菜馅水饺,荠菜的吃法也很多,凉拌热炒,荤素搭配都好吃,与鸡蛋也是绝配,具有增强记忆力、健脑益智的功效。
【荠菜馅水饺】所需食材:面粉300g,鸡蛋3个;荠菜、油、盐、葱、生抽、蚝油、五香粉、胡椒粉、料酒各适量。
做法:1、面粉加入适量的水和成面团,盖上保鲜膜饧着。
2、荠菜清净过水焯烫1分钟,然后捞出过冷水,控净水分,切碎。
3、鸡蛋打散,加点料酒去腥,搅拌均匀,炒锅加入适量多的油,拌馅不再加油了,油开倒入蛋液,迅速用筷子搅散,越碎越好。
4、葱去皮洗净切碎,取大盆,加入所有准备好的食材,加入盐、五香粉、胡椒粉、少许生抽、少许蚝油调味,拌匀。
5、包饺子,面团揉成长条,切成均匀的小面剂子,擀成饺子皮,包上馅两手对捏就好了。
6、煮饺子:水开后饺子入锅,再次翻开后点入冷水,第二次翻开再点入冷水,第三次翻开即可出锅,饺子煮得恰到好处。
第二种野菜:蒲公英
蒲公英,东北人都叫它婆婆丁,紧随荠菜之后上市,从夏到秋都有,它是众所周知的药食两用食材,低脂低卡,清香爽口,开胃解暑,去火下饭,多吃也不会胖人,还能调理身体。平时可以用蒲公英做一些菜、汤、包馅类的食物,蘸酱菜是北方人的大爱,凉拌也很好吃。经常吃腌泡的蒲公英花蕾,还具有提神醒脑的功效。
我家吃婆婆丁最多的是蘸酱菜和包馅,挖2棵婆婆丁就够一炖蘸酱菜,挖得多就包馅,包子饺子馅饼都好吃,可以荤素搭配也可以全素馅,清热去火,开胃健脾。
【婆婆丁猪肉馅饼】食材:面粉300g;猪肉馅300g;婆婆、香油、盐、料酒、、葱、姜、白糖、生抽、蚝油、五香粉、白胡椒粉各适量。
做法:1、面粉一分为二,一半烫面,一半加入适量的水和成面团,盖上保鲜膜饧着。
2、婆婆丁洗净,切碎,然后加点盐腌制10分钟左右,然后攥掉水分。
3、猪肉馅加入盐、葱姜碎、白糖、白胡椒粉、五香粉、生抽、料酒、蚝油沿一个方向充分搅拌均匀,分多次加入老汤,继续沿一个方向搅拌上劲,最后加入香油拌匀,再加入婆婆丁碎搅拌均匀。
4、饧好的面团揉匀,揉成长条,均匀地分成若干份。面剂子擀成饼,包上馅,再放上一张面皮,合起来捏在一起,然后捏出花边,这花式也叫太阳花盒子。
5、平底锅薄薄地刷层底油,码入包好的馅饼,小火慢慢地两面煎至金黄,加小半碗水,盖上锅盖焖一会,这样保证里边的肉馅熟透,再煎至无水分即可。
第三种野菜:马齿苋
马齿苋像蒲公英一样,生命力极强,有土的地方就有它,有“长寿菜”之美誉,马齿苋为药食两用植物,全草供药用,有清热利湿、解毒消肿、消炎、止渴、利尿作用。能提供较多的蛋白质、膳食纤维、钙,推荐食用,经常吃点马齿苋对身体非常有利。
马齿苋的做法很多,凉拌、热炒、蒸菜、包馅、煮粥、煲汤,怎么做都好吃,也是“天然抗生素”,有清热解毒消炎的作用,尤其是对痢疾杆菌、大肠杆菌有不错的抑制作用。
【麻辣马齿苋】食材:马齿苋、胡萝卜、大蒜、麻辣调味料、香醋适量、糖适量。
做法:1、马齿苋洗净,锅中加入适量的水,水开加入1勺盐、滴点植物油,然后下入马齿苋焯水, 变色就捞出过冷水,多冲洗两遍去掉黏液,攥掉水分。
2、胡萝卜去皮洗净,切丝,焯水,这样胡萝卜丝的口感好,颜色也艳丽。大蒜去皮洗净切碎。
3、所有的食材都准备好了,喜欢的可以将马齿苋切断,我喜欢这样长一点,感觉有嚼头。
4、炒锅加入适量的油,爆香一半的蒜末,加入1勺麻辣调味料,煸出香辣味即可,取大一点的盆,放入马齿苋、胡萝卜丝和剩余的蒜末,加入适量的盐、糖、醋,浇上刚刚炸好的麻辣酱料,一拌就OK啦!
小满节气苦菜当令,3种野菜夏天记得常给家人吃,清热解暑又开胃,常食去火又祛湿,帮助我们平稳度过夏天。欢迎留言,共同交流,喜欢这篇文章,请关注,点赞,转发和分享,感谢您的鼓励支持!
此文为大海微澜原创图文,盗文盗图必究

加载中…